Actualidad

Aquí podréis consultar todas las informaciones relacionadas con la actividad de la Fundación Biodiversidad

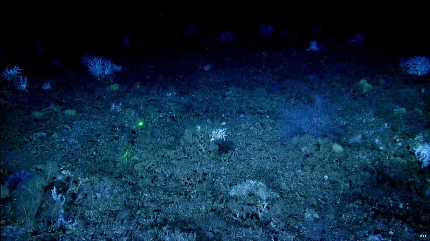
corales_en_Gazul_fuente_IEO

15/09/2015

El proyecto LIFE+ INDEMARES descubre los volcanes de fango del Golfo de Cádiz


Debido a la presencia significativa de metano en el área, un elemento que limita las condiciones de supervivencia no  cabía esperar que se encontrase tal […]

Leer más

corcho Retecork

15/09/2015

Fomentar el desarrollo de territorios corcheros


Potenciar el desarrollo local de los territorios corcheros y sensibilizar sobre su importancia es el objetivo de la iniciativa “Corklandtour. Cork, Landscape & Tourism”, puesta […]

Leer más

Corales sobre arenas

11/09/2015

El proyecto LIFE+ Indemares descubre 20 nuevas especies para la ciencia en el Banco de Galicia


En el marco del proyecto LIFE+ INDEMARES, coordinado por la Fundación Biodiversidad del Ministerio de Agricultura, Alimentación y Medio Ambiente, se han identificado 20 especies […]

Leer más